Premium Only Content
This video is only available to Rumble Premium subscribers. Subscribe to
enjoy exclusive content and ad-free viewing.
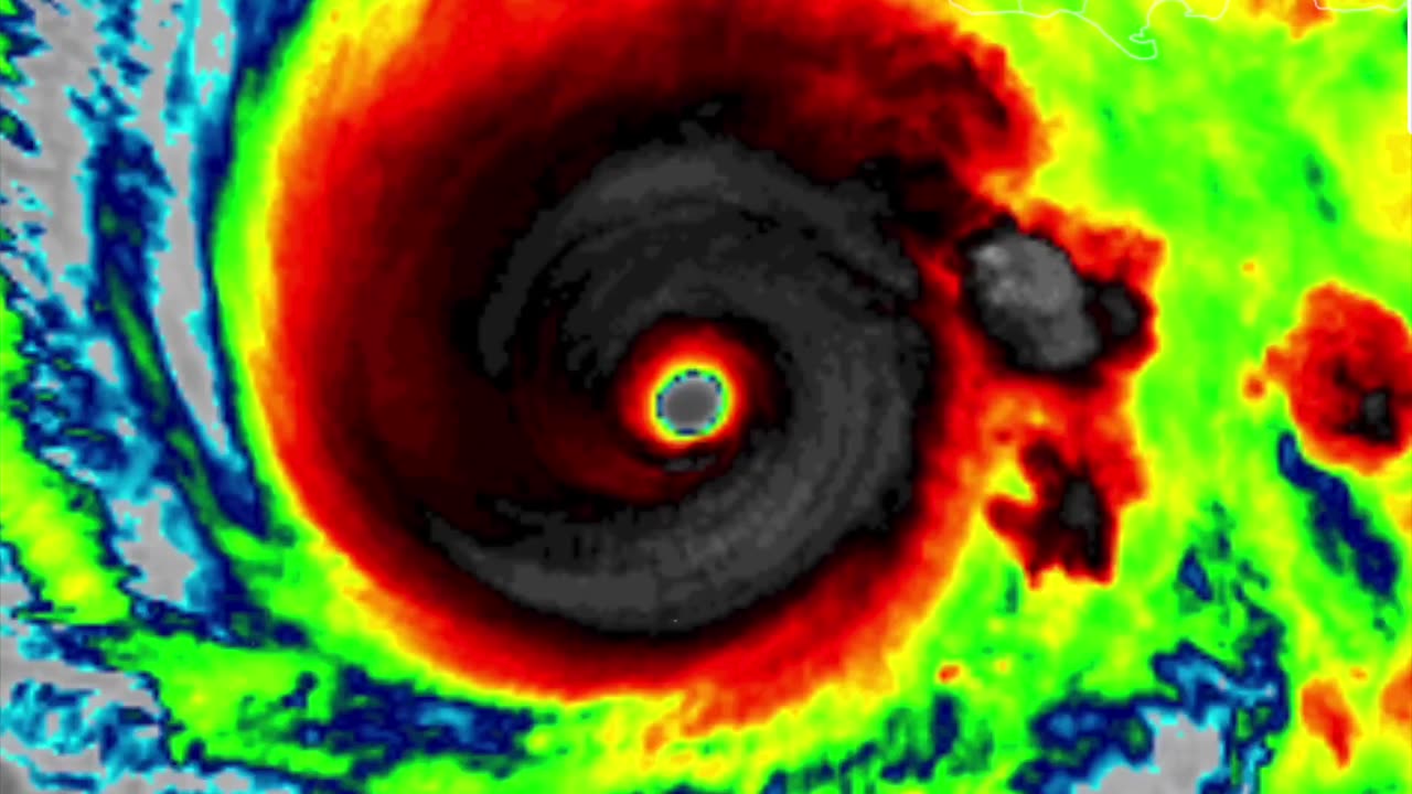
We're currently seeing some of the most impressive satellite images of a hurricane in Atlantic
3 days ago
19
We're currently seeing some of the most impressive satellite images of a hurricane in Atlantic history. Melissa, a Category 5 hurricane, remains nearly stationary near Jamaica, displaying a perfectly formed structure and an exceptionally clear eye.
Loading comments...
-
2:34
B-N-F-A-T-W
6 hours agoEvanston mayor Daniel B*tch ( @DanielBiss ) makes up numerous false claims about
6 -
50:27
Sarah Westall
6 hours agoBig Banks Caught Rigging Market, IMF tells World to “Buckle Up” w/ Andy Schectman
32.2K10 -
13:54
Degenerate Jay
13 hours ago $1.15 earned5 Best Superhero Movies To Watch On Halloween
15.6K4 -
59:03
NAG Podcast
6 hours agoSarah Fields: BOLDTALK W/Angela Belcamino
25.5K6 -
1:21:41
Glenn Greenwald
9 hours agoGlenn Takes Your Questions: On the Argentina Bailout, Money in Politics, and More | SYSTEM UPDATE #541
82.8K40 -
3:10:08
Barry Cunningham
6 hours agoPRESIDENT TRUMP TO USE NUCLEAR OPTION? FOOD STAMPS END! | SHUTDOWN DAY 31
49.4K34 -
1:06:56
BonginoReport
14 hours agoThe Battle Between Good & Evil w/ Demonologist Rick Hansen - Hayley Caronia (Ep.168)
100K38 -
1:12:57
Kim Iversen
9 hours agoBill Gates Suddenly Says “Don’t Worry About Climate Change”?
90.5K62 -
1:05:12
Michael Franzese
9 hours agoI Waited 50 Years to Tell You What Happened on Halloween 1975
45.4K17 -
1:07:15
Candace Show Podcast
9 hours agoINFILTRATION: Charlie Kirk Was Being Tracked For Years. | Candace Ep 256
93.6K364