Premium Only Content

This video is only available to Rumble Premium subscribers. Subscribe to enjoy exclusive content and ad-free viewing.
Subscribe on Rumble Now
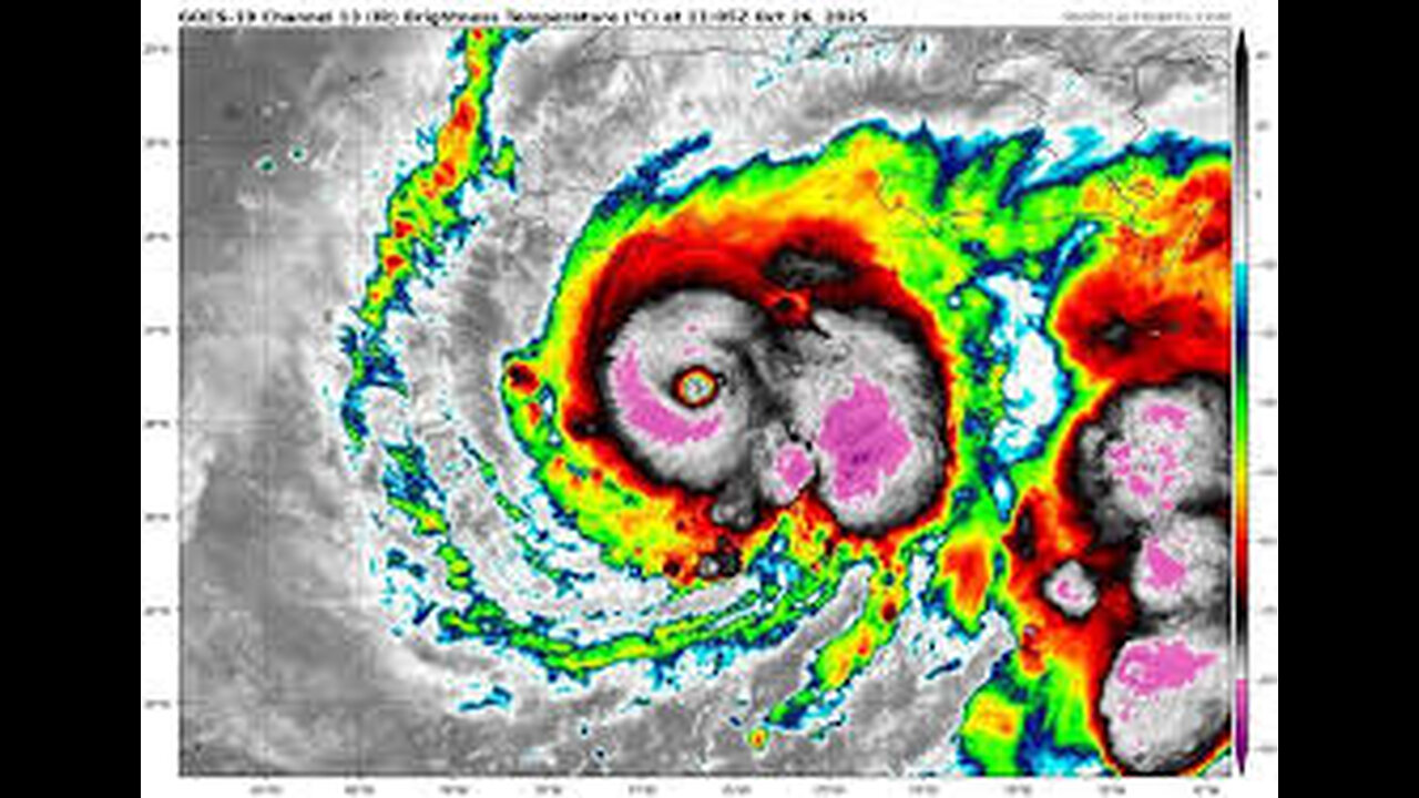
CAT 5 Hurricane Melissa will Destroy Jamaica - EXCLUSIVE LIVE CAMS Breaking News Coverage